28 أكتوبر 2025
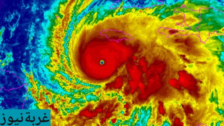
تواجه جامايكا منذ الثلاثاء 28 أكتوبر 2025 تهديدًا غير مسبوق بسبب إعصار ميليسا من الفئة الخامسة.
يُعد الإعصار الأقوى في تاريخ منطقة البحر الكاريبي، حيث تصل سرعة الرياح إلى 280 كيلومترًا في الساعة.
أسفر الإعصار عن وفاة ثلاثة أشخاص في جامايكا، بالإضافة إلى ضحايا في هايتي وجمهورية الدومينيكان.
قوة إعصار ميليسا وتأثيراته المباشرة على جامايكا
تحول إعصار ميليسا إلى الفئة الخامسة مع رياح بلغت 282 كيلومترًا في الساعة.
تأثرت جنوب غرب جامايكا ومدينة بورت رويال التاريخية بشكل كبير.
تشير التوقعات إلى أضرار جسيمة في البنية التحتية، علاوة على انقطاع الكهرباء وتدمير المنازل.
بالإضافة إلى ذلك، تحذر السلطات من فيضانات وانهيارات أرضية محتملة في المناطق الساحلية والمنخفضة.
خط سير إعصار ميليسا والتوجه الحالي
ضرب الإعصار جامايكا يوم الثلاثاء 28 أكتوبر بسرعة 295 كيلومترًا في الساعة.
وقع مركز الإعصار على بعد 40 كيلومترًا جنوب شرق مدينة نيجريل، مسببا أضراراً واسعة.
بعد اجتيازه، تراجع الإعصار إلى الفئة الرابعة بسرعة رياح 250 كيلومترًا في الساعة.
يتحرك الإعصار شمالًا عبر البحر الكاريبي متجهًا نحو كوبا، مع استمرار الأمطار الغزيرة.
من المتوقع أن يصل صباح الأربعاء 29 أكتوبر، مسببا رياحًا قوية وأضرارًا مائية.
في الوقت نفسه، تُظهر التوقعات احتمالية تهديد جزر البهاما وبيرمودا، لذلك يجب متابعة التحديثات اليومية.
أوامر الإخلاء الرسمية والتحذيرات
أصدرت السلطات الجامايكية أوامر إخلاء عاجلة للمناطق الساحلية المعرضة للفيضانات.
تشمل الأوامر مناطق: بورتلاند كوتيدج وكلارندون وروكي بوينت وكلارندون.
كما تشمل خليج أولد هاربور، سانت كاثرين، تايلور لاند، بول باي، سانت أندرو.
بالإضافة إلى ذلك، تشمل نيو هافن، سانت أندرو، وريفرتون سيتي، سانت أندرو.
تستمر الأوامر طالما أن حالة المنطقة المهددة قائمة.
يشدد المسؤولون على ضرورة اتباع التعليمات الرسمية والانتقال الفوري إلى الملاجئ.
أماكن الإخلاء والملاجئ ومواقعها في جامايكا
تجهيز أكثر من 881 ملجأ طوارئ لاستقبال السكان المهددين بالإعصار.
فرق الطوارئ تنقل السكان من المناطق الأكثر خطورة إلى الملاجئ باستخدام الحافلات.
تشمل المناطق بورتمور، سبانيش تاون، روكفورت، ومونتيغو باي.
بورتمور منطقة حضرية قرب كينغستون جنوب البلاد.
سبانيش تاون تقع في سانت كاثرين جنوب شرق العاصمة.
روكفورت منطقة ساحلية في سانت أندرو قرب العاصمة.
مونتيغو باي تقع شمال غرب جامايكا، وهي مدينة سياحية رئيسية.
بالإضافة إلى ذلك، قامت جامعة غرب الهند بإجلاء طلابها من حرم مونا وتأجيل حفلات التخرج.
توصيات عاجلة للسكان
ينصح بالبقاء في الملاجئ أو المنازل بعيدًا عن النوافذ والأبواب.
يجب تجهيز حقيبة طوارئ تحتوي على الطعام والماء والأدوية الأساسية.
بالإضافة إلى ذلك، يجب متابعة الأخبار المحلية للحصول على آخر التحديثات والتحذيرات.
علاوة على ذلك، ينبغي تجنب السفر غير الضروري في المناطق المعرضة للفيضانات والانهيارات.
تصريحات المسؤولين حول إعصار ميليسا
أكد رئيس الوزراء أندرو هولنيس أن البنية التحتية قد لا تصمد أمام إعصار من الفئة الخامسة.
كما طالب السكان باتخاذ جميع الاحتياطات اللازمة والتعاون مع السلطات.
فرق الطوارئ تنقل السكان إلى الملاجئ بأمان وتوفر لهم الاحتياجات الأساسية.
التأثيرات الإقليمية المتوقعة
شهدت هايتي وجمهورية الدومينيكان فيضانات وانهيارات أرضية أسفرت عن وقوع ضحايا.
من المتوقع أن يصل الإعصار إلى كوبا خلال الأيام المقبلة، مما قد يزيد الأضرار.
الاستعداد لمواجهة إعصار ميليسا
تُظهر الأحداث حجم التحديات التي تواجه جامايكا والدول المجاورة في مواجهة الأعاصير القوية.
تؤكد على أهمية الاستعداد المبكر واتباع التعليمات الرسمية والتعاون بين السلطات والمواطنين.
كما يجب الحذر الشديد لتجنب الخسائر البشرية والمادية الناجمة عن الإعصار.

